В систему освещения и световой сигнализации входят две фары, два передних фонаря, управляемая фара, два задних фонаря, фонарь освещения номерного знака, боковые повторители указателей поворота, опознавательные фонари автопоезда. В кабине установлены потолочный плафон, фонарь кабины, лампы освещения приборов и сигнальные лампы разного назначения. К системе освещения относятся также подкапотная лампа, штепсельные розетки переносной лампы и прицепа.
Фары имеют герметизированный оптический элемент с лампой накаливания (50+40) Вт; нить 50 Вт — дальнего света, нить 40 Вт — ближнего света. Лампы фары нужно заменять с тыльной стороны отражателя в следующем порядке:
- отвернуть пластмассовый держатель кожуха;
- снять пластмассовый кожух с контактами (прокладку вынимать из посадочного гнезда не рекомендуется);
- вынуть лампу из оптического элемента;
- вставить во втулку новую лампу, резиновую прокладку и кожух с контактами;
- завернуть держатель кожуха.
При смене лампы необходимо следить за тем, чтобы пыль не попала внутрь оптического элемента. Желательно менять лампу в помещении с минимальной запыленностью воздуха.

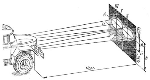
Рис. 86. Разметка экрана для регулировки светового потока фар:
h — высота центра фар; I — линия оси автомобиля; II и III — линия центров соответственно правой и левой фар
Для регулирования фар следует установить автомобиль (без нагрузки) на горизонтальной площадке, чтобы его продольная ось была перпендикулярна к стене или специальному экрану, расположенному на расстоянии 10 м от фар автомобиля. Затем необходимо выполнить следующие операции.
1. Провести на экране вертикальную линию I, совпадающую с осевой линией автомобиля (рис. 86).
2. По обе стороны от нее провести две вертикальные линии II и III на одинаковом расстоянии, равном половине расстояния между центрами фар.
3. Провести горизонтальную линию на уровне высоты центров фар от земли.
4. Провести горизонтальную линию А—А на 200 мм ниже линии центров фар.
5. Включить дальний свет фар и при закрытой правой фаре отрегулировать свет левой фары так, чтобы центр светового пятна лежал в точке пересечения горизонтальной А—А и левой вертикальной III линий. Для регулировки необходимо поворачивать винты вертикальной и горизонтальной регулировки фары.
6. Закрыть левую фару и отрегулировать правую фару. Аналогичным образом добиться совпадения центра светового пятна с центром пересечения горизонтальной А—А и правой вертикальной II линий.
7. Убедиться, что верхние края световых пятен обеих фар находятся на экране на одном уровне. После этого необходимо закрепить фары.
Управляемая фара установлена на автомобиле снаружи кабины, с левой стороны, на кронштейне; она снабжена галогенной лампой мощностью 55 Вт. Управляемая фара служит как для освещения (постоянный свет), так и для сигнализации (мигающий свет).
Выключателей управляемой фары два; они установлены на внутренней панели кабины автомобиля.
Передние фонари установлены на крыльях под фарами и снабжены лампами А12-21 для указателей поворота и А12-5 для обозначения габаритных размеров автомобиля.
Задние фонари прикреплены при помощи кронштейнов к задней балке платформы, и каждый имеет две лампы А12-21 и лампу А12-5. Лампа 5 Вт предназначена для обозначения габаритов автомобиля, а лампы 21 ВТ включаются при торможении и повороте.
Боковые указатели поворота установлены на крыльях и снабжены лампами А12-5.
Фонарь освещения номерного знака комплектуется двумя лампами А12-5.
Фонари автопоезда с лампами А12-5 установлены на крыше.
Указатели поворота включаются переключателем, укрепленным на рулевой колонке. Перемещением ручки переключателя вверх (по часовой стрелке) включаются указатели правого поворота (лампы 21 Вт правых переднего и заднего фонарей и лампы 5 Вт бокового повторителя указателей поворота). Перемещением ручки вниз (против часовой стрелки) включаются указатели левого поворота.
Возвращение переключателя в выключенное (нейтральное) положение осуществляется автоматически при выходе автомобиля из поворота; ступица рулевого колеса вращает ролик переключателя, переводя его в выключенное положение.
Прерыватель РС57 — электромагнитный, с накаливаемой нитью. Ремонт и регулировка прерывателя возможны только в специализированных мастерских. Если при включении указателей поворота горят все лампы (21 Вт в переднем и заднем фонарях и 5 Вт бокового указателя), то на щитке приборов контрольная лампа указателей поворота загорается прерывистым зеленым светом. В цепи прерывателя имеется плавкий предохранитель на 6 А. В эксплуатации надо использовать только стандартные предохранители ПР119-01 (6 А). В ЗИП автомобиля имеются две шестиамперные плавкие вставки ПР119-210 для замены вышедших из строя.
При перегорании одной из сигнальных ламп в цепи указателей поворота контрольная лампа должна мигать с повышенной частотой.
В случае установки переключателя указателей поворота на автомобиль надо обеспечить зазор между резиновым роликом переключателя и ступицей рулевого колеса (при нейтральном положении рычага) в пределах 1 … 2 мм.
Зазор регулируют перемещением переключателя на кронштейне в горизонтальном положении, ослабив два винта. После регулирования винты тщательно затягивают. Переключатель указателей поворота из одного положения в другое необходимо переключать плавно, без рывков и ударов. Не следует допускать попадания на ролик переключателя смазочных метериалов. Ось ролика и фиксационную скобу смазывать смазочным материалом в соответствии с картой смазывания, сняв предварительно крышку.
После длительного перерыва в эксплуатации рекомендуется выполнить от руки 10 … 12 полных переключений рычага переключателя указателей поворота.
